Loading

Columbus Creek September 2023

Project Update

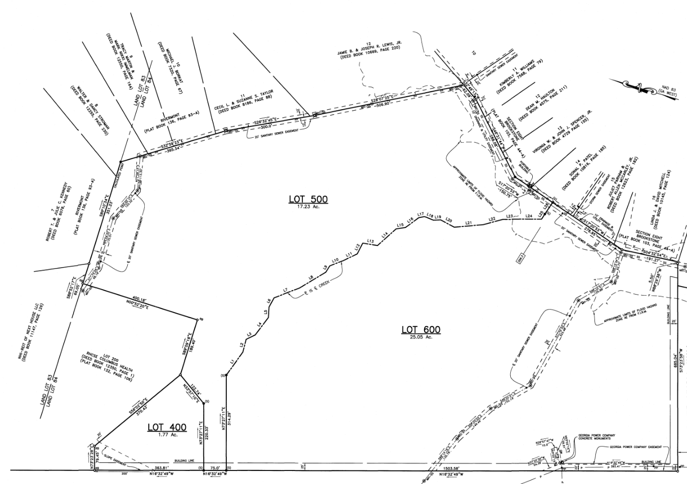
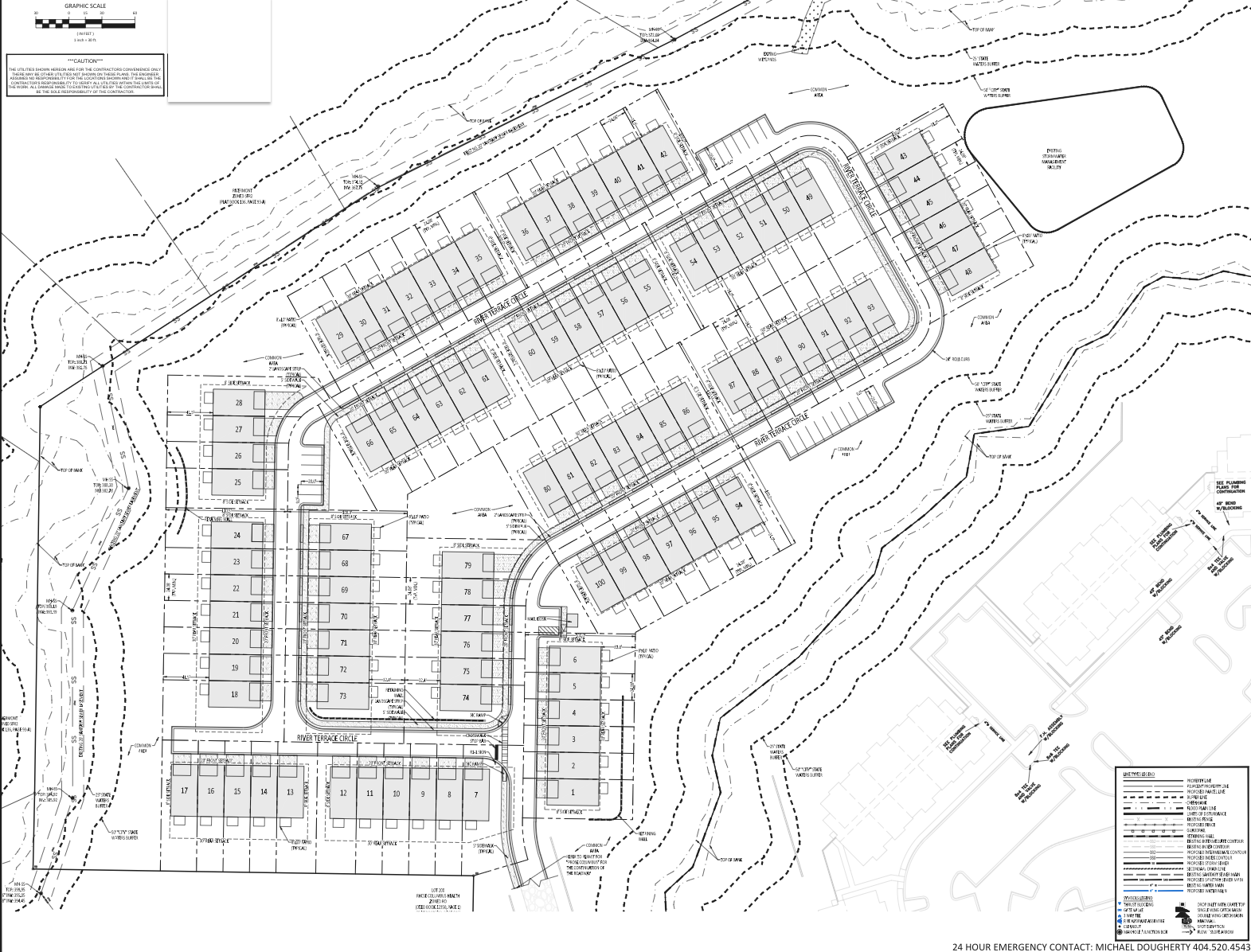
Horizontal construction is 90% complete for Columbus Creek. Mass grading and stream crossing installed and 85% of the work within our scope is complete. Sewer and water structures and pipe are on site and installed. Wall installation is complete. Curb pouring has begun and should be complete by mid-October. Once done, we will be ready to put down roads.

Progress Video

Progress Photos

Design Options

Past Updates

Want to compare this month's progress with those in the past? Previous Project Updates are here for your convenience:

October 2022 - November 2022 - December 2022 - January 2023 - February 2023 - March 2023 - May 2023 - June 2023 - July 2023 - August 2023

For more information contact: Rob Fuller at (707) 365-6891