Columbus Creek November 2023

Project Update

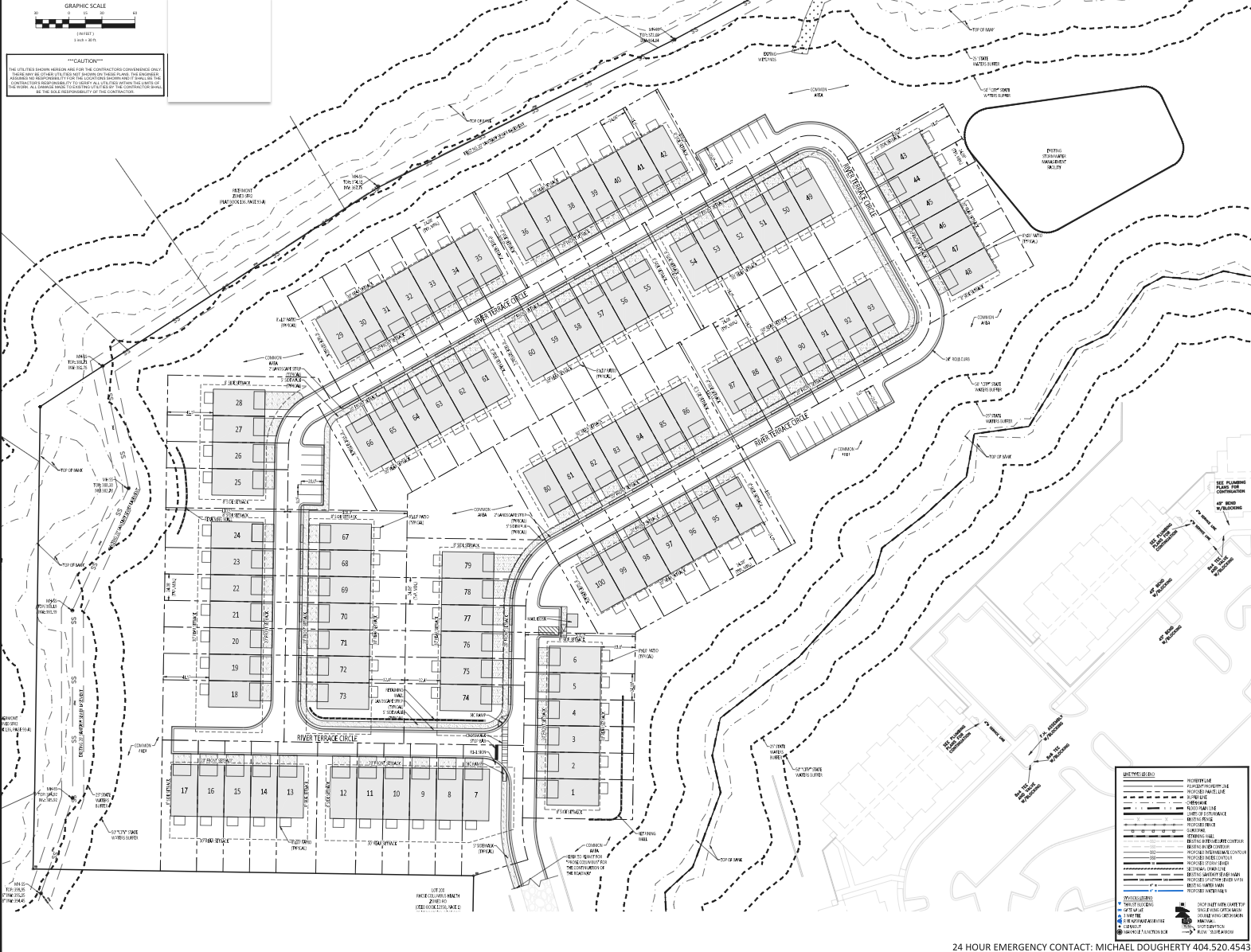
Horizontal Construction is complete (Grading 95%, Storm 100%, Sewer 100% and Water 100%) for Columbus Creek. The curb is installed and throats and tops are mostly complete. Binder is down and the site contractor is looking to turnover the site to the vertical General Contractor. The Subdivision Plat has been submitted and we expect to have individual APN’s for each building by the second week of December.

Progress Video

Progress Photos

November Aerial

Design Options

Past Updates

Want to compare this month's progress with those in the past? Previous Project Updates are here for your convenience:

October 2022 - November 2022 - December 2022 - January 2023 - February 2023 - March 2023 - May 2023 - June 2023 - July 2023 - August 2023 - September 2023 - October 2023